Types of Spanish Trees - With Photos


The trees of Spain are diverse in nature, largely due to the diversity of the country's ecosystems and climate. It is estimated there are around seven million types of Spanish trees, although it is hard to achieve a firm number. Although there are many deciduous trees, there are more species of evergreen tree over all in Spain. This is largely due to their adaptation to the Mediterranean climate. Some of the most prominent trees in Spain are the European silver fir (Abies alba), Spanish fir (Abies pinsapo), field maple (Acer campestre) and Portuguese oak (Quercus faginea).
At thedailyECO, we provide 12 types of Spanish trees for you to have a better idea of the plants of Spain. We look at some of the most representative, providing information on the trees of Spain with photos so you can know what they look like.
- What are the trees of Spain like?
- European silver fir (Abies alba)
- Spanish fir (Abies pinsapo)
- Field maple (Acer campestre)
- Montpellier maple (Acer monspessulanum)
- Italian maple (Acer opalus)
- Portuguese oak (Quercus faginea)
- Common alder (Alnus glutinosa)
- Strawberry tree (Arbutus unedo)
- Silver birch (Betula pendula)
- Common box (Buxus sempervirens)
- Spanish chestnut (Castanea sativa)
- Carob (Ceratonia siliqua)
What are the trees of Spain like?
As we have stated in the introduction, there is a great diversity in Spanish trees. This is largely because the ecosystems are so varied. While it is a Mediterranean country, it has one of the most diverse climates in Europe. The coastal regions are perhaps its most famous, but even within these ecosystems there are various types of geographical regions.
Spain also has mountainous regions with a climate that is much different to the warmer coasts. There are also wetlands, scrublands and even steppes. The different types of trees in Spain are contained in different types of forests, including temperate forests, subalpine forests and coniferous forests.
Despite the great biodiversity of Spain, there are believed to be more evergreen tree species than deciduous. This is due to a number of reasons:
- Mediterranean climate: these trees need to be adapted to the hot and dry summers typical of the Mediterranean, something at which evergreen trees are generally best.
- Drought: Spain is also known to have long periods without rain in many regions, so the trees need to be drought resistant.
- Fire: some of the most notable trees of Spain include pines and oaks which have thick bark and protected seeds to endure fires. Forest fires are an increasing concern in Spain, but they have always been present to some extent.
- Native species: the native tree species of Spain are most commonly evergreen and have historically dominated the region.
Deciduous tress in Spain are also relatively abundant, but they tend to be in higher elevations or near river systems. Generally speaking, the northern parts of Spain have the most types of deciduous tree. Learn more about these ecosystems with our article on what is a river delta and how is it formed?
European silver fir (Abies alba)
The first on our list of types of Spanish trees is the European silver fir. It is an evergreen tree native to various mountainous areas of Europe. In Spain, silver fir grows in the Pyrenees, Montseny Massif, Navarra regional community, Barcelona, Huesca and Lérida. You can see the silver leaves which give this Spanish tree its name in the photo below.
The European silver fir is highly valued for its white, light wood. It has little resin which makes it easy to work with for artisans, especially those who make musical instruments such as organs. It is also commonly used to make paper and in fine cabinetmaking. It can measure between 66-164 ft (20-50 m) high.
Learn more about how resin affects wood with our article on what is sap in a tree?

Spanish fir (Abies pinsapo)
Known as pinsapo in its native Andalusia, the Spanish fir is mainly found in Málaga and Cádiz. It is endemic to the area and is considered a relic of tertiary coniferous forests. Conservation efforts have been made since 1921 to preserve this native Spanish tree species, but land erosion and other factors have continued to deplete populations.
It has a high landscape value because it can measure up to 82 ft (25 m) high. It also has great scientific value because it is a very narrow endemic species, meaning it has a reduced distribution.

Field maple (Acer campestre)
The field maple is a deciduous tree that reaches 23-33 ft (7-10 m) high. It is endemic to the Iberian Peninsula with deep roots in the northern part of Spain. It is very resistant to drought and infertile soils. The leaves shown in the photo below are used to feed livestock and the wood is highly appreciated by artisans, as it is hard and compact.

Montpellier maple (Acer monspessulanum)
The Montpellier maple is a medium-sized tree that also measures between 23-33 ft (7-10 m) high. We can find it in Alicante and La Molata in Murcia. It blooms from April to May, with a discreet peach-colored flower. It can live a hundred years or more, although its growth is very slow. Its wood is pink, which is why it is highly valued among turner craftsmen. When it is of large diameter, cabinetmaking craftsmen also use it in their furniture.

Italian maple (Acer opalus)
The Italian maple is a type of small maple that can measure up to 23 ft (7 m) in height. It is very common in Mallorca. Its wood is pink or reddish-white, which is why it is also valued by master carpenters. It is a good material as fuel as it burns easily. It is highly valued in gardening. In autumn, its leaves have yellow, red and orange tones.

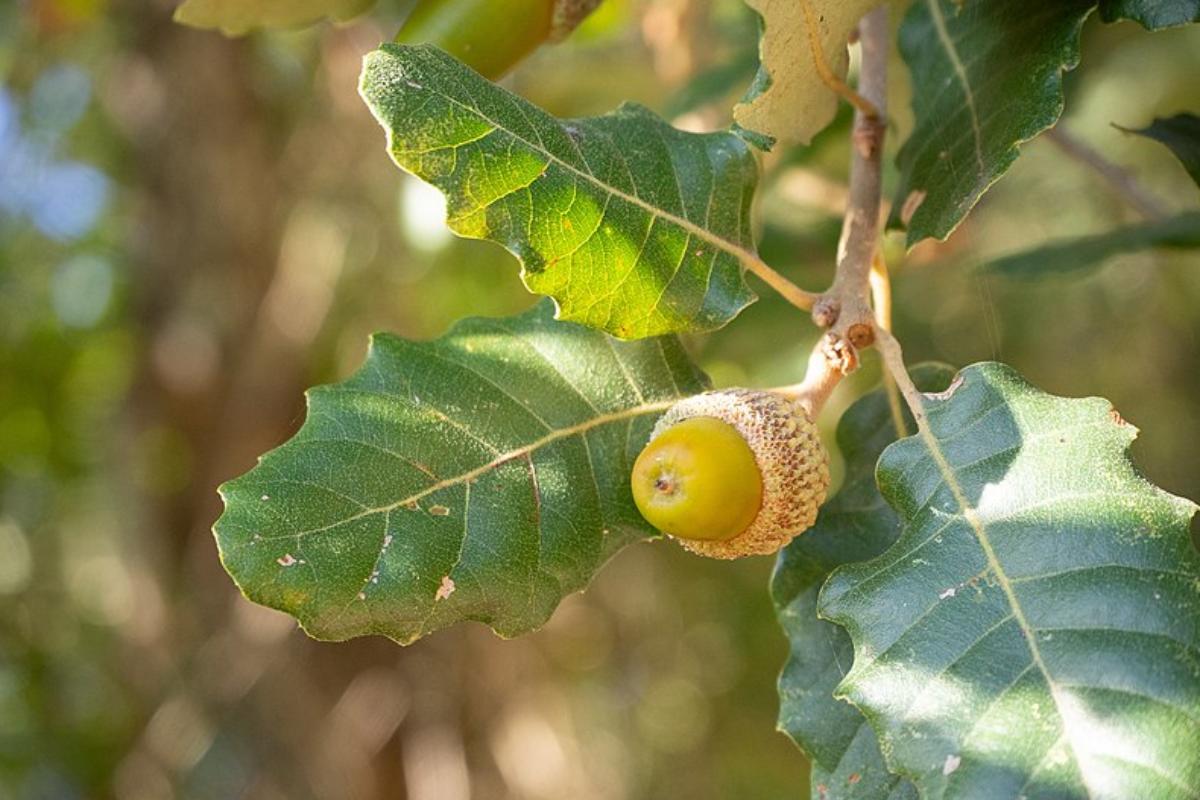
Portuguese oak (Quercus faginea)
Known as quejigo in its native Spanish, Portuguese oak is typical of the Mediterranean climate of Spain. It is present throughout the peninsular area, mainly in the Mediterranean area of Valencia. It is also found in Murcia and Malaga. In the past there were populations in Mallorca. It is very resistant to drought and can reach a height of 66 ft (20 m).
It was valued as a medicinal plant because cooking its leaves was believed to relieve toothache, gastritis, diabetes and some types of inflammation. Its wood is used to make high quality barrels, as its wood is considered to last a lifetime. The photo shows the acorn common to all types of oak tree.

Common alder (Alnus glutinosa)
Another of the different types of Spanish trees that we must include in this list is the common alder, since it is native to Spain. It can be found throughout the entire peninsula, usually growing near lakes and rivers, developing particularly well in humid environments.
Common alder is a tree that greatly enriches the soil in which it lives. Its roots have nodules in which there is a bacteria that allows atmospheric nitrogen to be fixed, thereby causing the soil to be enriched. It usually measures 56-72 ft (17-22 m) in height, but can reach 98 ft (30 m).
Learn more about the important of trees in their substrate with our article on what is soil science study?

Strawberry tree (Arbutus unedo)
Known as the chorleywood in the UK, the strawberry tree is native to the Mediterranean region and Western Europe. However, it can be found all across the country. For example, it can be found in the Pre-Pyrenees, Salamanca, Tarragona and Jaén. It can reach 26-33 ft (8-10 m) in height. Its fruits are edible and very precious. Since 2003 it has been included in the Spanish Catalog of Invasive Exotic Species since it has great colonizing potential and in that process it destroys other native species. As the photo shows, it gets its name because the fruits resemble strawberries.

Silver birch (Betula pendula)
The silver birch is also known as the European white birch. This is misleading since it is native to Eurasia, but it has adapted very well to the Mediterranean Basin. It has a thin trunk with white bark, the base of which darkens and cracks over the years. It can measure between 32-98 ft (10-30 m) in height.
It has been highly appreciated for its therapeutic properties, since the liquid from its cooked leaves is a diuretic, disinfectant of the urinary tract, adjuvant in rheumatic ailments and in the control of non-insulin-dependent diabetic patients.

Common box (Buxus sempervirens)
The common box or boxwood is native to the Mediterranean coast. It is considered a medium-sized, since it does not measure more than 33 ft (10 m) high.
It is highly appreciated in gardening, since it keeps its leaves green even in winter. It is both an evergreen tree and a perennial. It is used as filler vegetation. Its wood is heavy and hard, making it suitable for making small sculptures with many details.

Spanish chestnut (Castanea sativa)
Also known as the sweet chestnut, the Spanish chestnut is a tree that grows quickly. It can reach over 98 ft (30 m) high. It also grows in width, developing a hollow section in the middle. There are specimens that manage to house several people inside. They are so long-lived that several have reached thousands of years of age.
For a long time it was believed that the Roman Empire had brought the chestnut tree to the areas it was conquering 2000 years ago. More recent studies on the fossils of the trees and remains of charcoal have shown that it had already existed in the area for more than 300,000 years.

Carob (Ceratonia siliqua)
Also known as St. John's bread, the carob reaches 33 ft (10 m) in height. It is endemic to the Mediterranean basin, including the Spanish part. In the Iberian Peninsula we can find it from Catalonia to the Portuguese Algarve area.
The dried carob pods have great culinary value, since they taste similar to chocolate. They also have the advantage that they do not contain an enzyme called theobromine, which for some people is allergenic and is toxic for some animals, such as dogs and cats.
Now that you know different types of trees in Spain, you may want to learn more about the different types of trees in general.

If you want to read similar articles to Types of Spanish Trees - With Photos, we recommend you visit our Outdoor plants category.
- Unique trees of Spain. (2004). Spain: Mundi-Prensa Editions.
- LÓPEZ LILLO, A., & Sánchez de Lorenzo Cáceres, J. M. (2001). Trees in Spain. Identification manual. Spain: Ediciones Mundi-Prensa.